JTC launches Pandan Road under Industrial Government Land Sales (IGLS) Programme
25 Nov 2025
JTC has launched one site under the second half of the 2025 IGLS Programme.
The site has been launched with an additional three-year lease tenure as part of enhancements to the industrial land lease framework.
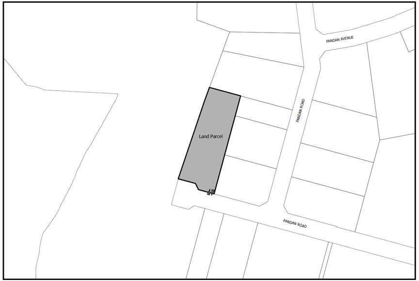
Detail of the site and location plan can be found in the table below and Appendix A respectively. This information is also available on JTC’s website at http://www.jtc.gov.sg/IGLS.
Sites available for tender:
| Location | Site Area (Ha) | Gross Plot Ratio | Zoning | Tenure | Tender Closing |
|---|---|---|---|---|---|
|
Pandan Road
|
0.66
|
2.5
|
B2
|
33-year
|
20 Dec 2026 (Tuesday), 11:00 am
|
The site at Pandan Road is the fourth of five Confirmed List sites for the second half of the 2025 IGLS Programme.
Interested parties can purchase the Tenderer’s Packet at $185.30 each (inclusive of GST) at https://go.gov.sg/jtc-igls-tp.
Pandan Road